Chicago Cityscape logo Chicago Cityscape
    Start a free trial
  • Pricing
  • Solutions
    • Overview
    • Solutions for...
    • Architects
    • Cannabis entrepreneurs
    • Land use & zoning professionals
    • Non-profit organizations
    • Property pros
    • Service providers
  • Features
    • Property Finder
    • Incentives Checker
    • Proposed Projects
    • Property Report
Start a free trial
  • Sign in
  • Sign up
  1. Home
  2. Projects & Leads
  3. Developments Gallery
  4. This document

Zoom out to see more renderings, news, and other projects & developments nearby. Right click on the map to get a Property Report


Info about this document

Author
GREC Architects
Date
11/15/2021
Description
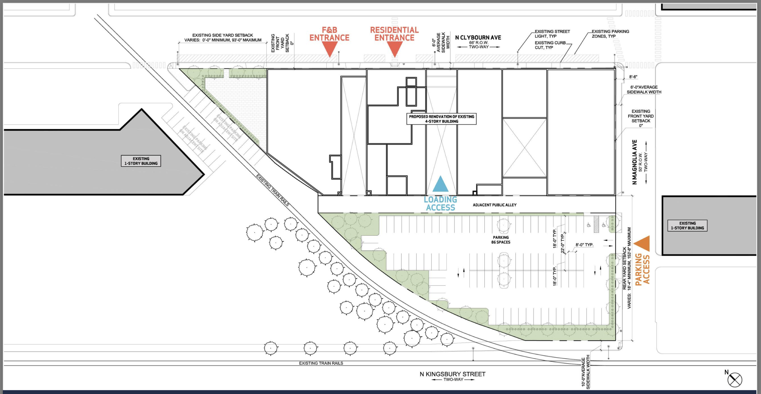
Proposed conversion of an office building to 136 apartments, including some live/work units.
Address
2032 N Clybourn Ave, Chicago, IL
Web source
More info

8 items 1 location shown on the map

This image represents an image or PDF that was given the description: Proposed conversion of an office building to 136 apartments, including some live/work units.

Sign in or create a free account to see all 8 files or images in this document


Surrounding Places Places that overlap or border this document

Show all Places

Nearby News & Developments Gallery within two blocks

address name person street owner

My Lists

Sign in to be able to add this file,development to one of your lists


tags & Topics  1 tag to find related content - view all tags

Converting commercial space to residential space


What is Chicago Cityscape?

Chicago Cityscape makes neighborhood, property, and construction development data accessible to all.
We serve non-profit organizations, construction service providers, zoning attorneys, brokers & property professionals, cannabis entrepreneurs, and all residents of Chicago and Cook County. Learn what solutions are best for you.

Access sample reports the way Real Estate Pro members do

Learn about backyard homes & ADUs in Chicago

ADU Portal

  • Look up your property's eligibility
  • ADUs FAQ
  • service provider directory
  • funding & financing
  • home electrification
  • statistics and permits

About us

  • Chicago Cityscape, LLC
  • Pricing
  • Compare Us
  • Professional services
  • Usage guidelines & privacy policy
  • Special billing portal

Our resources

  • ADU Portal
  • Knowledge Base & help center
  • Solutions
  • Links & Books
  • Tags & Topics

Contact us

  • Bluesky | LinkedIn
  • Email us
  • Blog
  • Newsletters Hub

More data

  • Maps & Data Store
  • Data Sources
  • API & GitHub
Contact us Help